2023. 4. 24. 13:52ㆍ밈/뜻
태풍은 열대의 따뜻한 바다 위에서 형성되는 거대한 회전 폭풍이다. 태풍은 우리나라에 매년 큰 피해를 주고 가는데 제일 유명한 태풍은 매미와 루사일 것이다. 태풍은 따뜻한 바다 온도, 높은 습도, 그리고 대기 불안정을 포함한 여러 요인들의 조합에 의해 발생한다.
1. 태풍 원리
태풍의 형성은 따뜻한 바닷물과 상공의 대기 사이의 상호작용으로 시작된다. 따뜻한 물은 그 위의 공기를 가열하여 공기를 상승시키고 저기압의 영역을 만듭니다. 저기압대는 주변 지역에서 더 따뜻하고 습한 공기를 끌어들이고, 공기는 위로 이동하면서 상승하고 냉각된다. 공기가 차가워지면 응결의 형태로 수분을 방출하여 구름을 형성한다.
저기압 지역이 더 따뜻하고 습한 공기를 계속 끌어들이면서, 구름의 형성은 더 조직화되고 지구의 자전으로 인해 폭풍은 회전하기 시작한다. 폭풍의 자전은 공기가 북반구에서는 오른쪽으로, 남반구에서는 왼쪽으로 치우치게 하는 코리올리 효과에 의해 발생한다.
회전하는 폭풍은 더 따뜻하고 습한 공기를 계속 끌어들이면서 더 강력해지고, 폭풍의 중심 주변의 바람은 더 강해진다. 태풍은 육지 위를 이동하면서 광범위한 파괴와 홍수를 일으킬 수 있으며, 수백 킬로미터에 걸쳐 그 영향을 느낄 수 있다.
전반적으로, 태풍의 형성은 바다와 대기 사이의 상호작용과 지구의 자전을 포함하는 복잡한 과정이다. 태풍의 배후에 있는 과학을 이해하는 것은 태풍의 행동을 예측하고 이러한 강력한 폭풍이 인간의 삶과 기반 시설에 미치는 영향을 최소화하는 데 중요하다.
코리올리 효과는 기상학, 해양학, 그리고 지구의 대규모 운동을 다루는 다른 분야에서 결정적인 역할을 하는 현상이다. 이는 지구의 자전으로 인해 움직이는 물체(공기나 물 등)의 겉보기 편향을 의미한다.
2. 태풍과 코리올리 효과
코리올리 효과를 이해하기 위해, 기본 전제로 시작합시다: 지구는 서쪽에서 동쪽으로 자전합니다. 이 자전 때문에 적도의 한 지점은 고위도의 한 지점보다 더 빠르게 이동한다. 이러한 속도의 차이는 지구 표면의 물체의 움직임에 중요한 영향을 미친다.
당신이 적도에 서서 정북으로 공을 던진다고 가정해보자. 당신의 관점에서 볼 때, 공은 북쪽을 향해 일직선으로 이동할 것이다. 하지만, 북극에 서 있는 누군가의 관점에서 볼 때, 공은 오른쪽으로 구부러지는 것처럼 보일 것이다. 공 아래의 땅이 공 자체보다 빠르게 움직이면서 오른쪽으로 움직이는 것처럼 보이기 때문이다.

같은 원리가 지구상의 기단과 수류의 이동에도 적용된다. 따뜻한 공기가 적도에서 상승하여 극지방으로 흐르면 북반구에서는 오른쪽으로, 남반구에서는 왼쪽으로 구부러지는 것으로 보인다. 이것은 북반구에서 공기의 시계방향 순환과 기압계의 반시계방향 순환을 야기한다.
마찬가지로, 북반구의 해류는 오른쪽으로 치우치는 반면, 남반구의 해류는 왼쪽으로 치우치는 것으로 보인다. 이것은 영양, 열, 그리고 다른 물질들이 세계의 바다를 가로질러 이동하는 것에 중요한 결과를 가지고 있다.
코리올리 효과는 많은 변수가 있는 복잡한 현상이지만, 그 기본 원리는 과학자들에 의해 잘 이해되고 있다. 코리올리 효과를 고려함으로써, 기상학자들과 해양학자들은 지구 상의 기단, 해류, 그리고 다른 대규모 현상들의 움직임을 더 잘 예측할 수 있다.
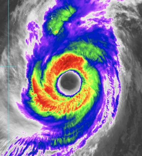
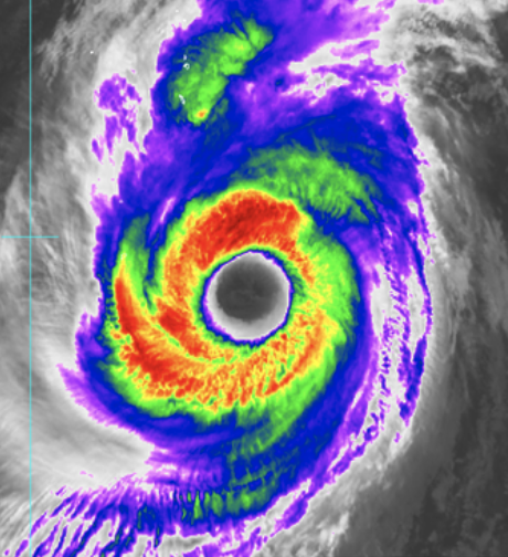
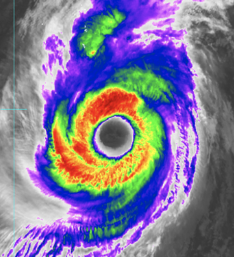
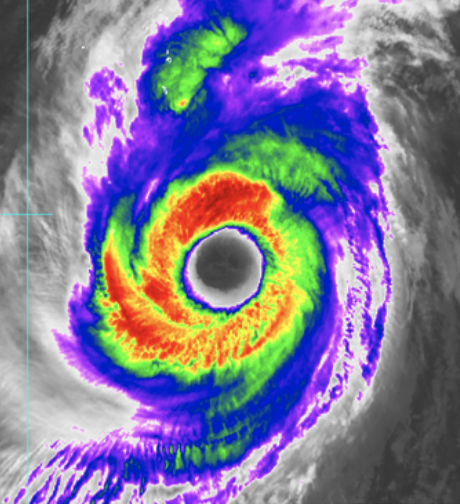
3. 태풍의 눈
태풍의 눈은 가장 강력한 바람과 비에 둘러싸인 폭풍의 중심부에 있는 비교적 조용하고 맑은 지역이다. 태풍의 눈은 이러한 유형의 폭풍의 독특한 특징이며 뇌우나 토네이도와 같은 다른 유형의 폭풍과는 구별된다.
태풍의 눈이 형성되는 것은 폭풍의 자전 때문이다. 태풍이 자전하면서 폭풍 중심부의 공기가 가라앉아 저기압 지역이 만들어진다. 이 가라앉는 공기는 따뜻해지고 건조해져서 구름의 형성을 막고 폭풍의 중심부에 비교적 맑은 지역으로 이어진다.

태풍의 눈은 직경이 수 킬로미터에 이를 수 있으며 가벼운 바람과 맑은 하늘이 특징이다. 대조적으로, 안벽으로 알려진 눈을 둘러싼 지역은 가장 강한 바람과 비가 있는 곳이다. 안벽은 폭풍해일, 즉 폭풍으로 인한 해수면 상승이 가장 높은 곳이기도 하다.
태풍의 눈에는 비교적 평온한 상황임에도 불구하고 여전히 위험한 지역이라는 점에 유의해야 한다. 눈은 빠르게 움직일 수 있고, 태풍이 계속 움직이면서 결국 눈벽이 상륙해 상당한 피해와 파괴를 초래할 것이다.
4. 태풍 피해
수년간, 한국은 상당한 피해와 인명 손실을 초래한 파괴적인 태풍들을 여러 차례 경험했다. 이러한 강력한 폭풍은 국가의 다른 지역에 영향을 미쳤으며, 일부 지역은 위치와 인프라 때문에 다른 지역보다 더 취약하다.
2019년 태풍 링링이 한반도를 강타하면서 광범위한 피해와 혼란이 발생했다. 이 폭풍은 폭우와 강풍을 불러왔고, 홍수, 산사태, 정전을 초래했다. 링링은 적어도 3명의 사망자에 책임이 있으며, 많은 사람들이 부상을 입었다.
2020년에 한국은 두 개의 강력한 태풍인 태풍 바비와 태풍 메이삭에 의해 강타당했다. 태풍 바비는 최고 시속 170킬로미터의 바람을 동반한 몇 년 만에 한국을 강타한 가장 강력한 태풍이었다. 폭풍은 건물, 도로, 농작물에 광범위한 피해를 입혔고 교통과 전력 시스템에 혼란을 주었다. 바비 이후 며칠 만에 강타한 태풍 마이삭은 추가 피해를 입었고 최소 2명의 사망자를 냈다.
이러한 최근의 폭풍들 외에도, 한국은 과거에 다른 주목할 만한 태풍들을 경험했다. 2003년에 강타한 태풍 매미는 수십 년 만에 이 나라를 강타한 가장 강력한 태풍 중 하나였다. 이 폭풍은 건물과 기반 시설에 상당한 피해를 입혔고 100명 이상의 사망자를 낳았다.
이러한 태풍의 영향은 재난 대비와 완화 노력의 중요성을 강조한다. 한국 정부는 조기 경보 시스템을 시행하고, 기반 시설을 강화하고, 대중의 인식과 교육을 높이는 것을 포함하여 자연 재해에 대한 대응을 개선하기 위한 조치를 취했다. 하지만, 이러한 강력한 폭풍에 직면하여 한국 시민들의 안전과 복지를 보장하기 위해 해야 할 일이 여전히 더 많다.
대표적인 태풍 매미와 루사
태풍 매미와 태풍 루사는 최근 역사상 한국을 강타한 가장 파괴적인 태풍 중 하나로, 상당한 피해와 인명 손실을 초래했다.
태풍 매미는 2003년에 한국을 강타했고 시속 259 킬로미터의 바람을 동반했다. 이번 폭풍으로 부산 성산대교가 붕괴되는 등 건물과 기반시설 등에 막대한 피해가 발생했다. 매미는 100명 이상의 사망자를 냈고 수십억 달러의 경제적 손실을 초래했다.
2002년 태풍 루사가 한국을 강타하여 광범위한 홍수와 산사태를 일으켰다. 이 폭풍은 폭우와 바람을 불러와 200명 이상의 사망자를 내고 수십억 달러의 피해를 입혔다. 루사는 홍수로 마을 전체가 물에 잠기는 남서부 지역에서 특히 파괴적이었다.
이 두 태풍의 영향은 한국의 재난 대비와 완화 노력의 개선의 필요성을 강조했다. 그 이후로, 정부는 인프라를 강화하고, 경고 시스템을 개선하고, 자연 재해에 대한 대중의 인식과 교육을 높이기 위한 조치를 취했습니다.
5. 태풍 예방을 위한 설계
예를 들어, 건축 분야에서 디자이너들은 바람과 비에 더 잘 견딜 수 있는 새로운 재료와 구조 시스템을 탐구하고 있다. 여기에는 극한 기후 조건에서 더 큰 강도와 안정성을 제공할 수 있는 철근 콘크리트, 철골 및 기타 재료의 사용이 포함됩니다. 건축가들은 또한 곡선 형태와 유선형의 프로파일을 가진 건물을 설계하고 있는데, 이는 바람 저항을 줄이고 구조적 고장의 위험을 최소화하는 데 도움이 될 수 있다.
토목 분야에서는 전문가들이 강풍에 취약할 수 있는 교량, 고속도로 등 기반시설의 설계와 시공을 개선하기 위해 노력하고 있다. 여기에는 구조물이 풍하중에 어떻게 반응하는지를 더 잘 이해하기 위한 풍동 및 기타 시험 시설의 사용뿐만 아니라 태풍에 의해 제기되는 특정 과제를 고려한 새로운 설계 코드 및 표준의 개발이 포함된다.
도시 계획 분야에서, 관계자들은 태풍과 다른 극단적인 날씨 사건의 영향을 더 잘 견딜 수 있는 더 탄력적인 지역사회를 만들기 위해 노력하고 있다. 여기에는 피난계획 수립, 지정피난처 설치, 방조제·배수시스템 등 홍수조절대책 시행 등이 포함된다.
5. 태풍의 소멸
태풍은 예측과 정확한 추적이 어려울 수 있는 복잡한 기상 현상이다. 일부 태풍은 특정 지역에 대해 직접적인 경로를 따라 이동하는 것처럼 보일 수 있지만, 대기를 통해 이동하면서 다양한 이유로 약화되거나 소멸될 수 있습니다.
태풍을 약화시키거나 소멸시킬 수 있는 주요 요인 중 하나는 폭풍과 주변 환경 사이의 상호 작용이다. 태풍이 바다를 가로질러 이동할 때, 그것은 폭풍의 힘을 잃게 할 수 있는 더 차가운 물이나 더 강한 윈드시어 지역과 마주칠 수 있다. 또한 건조한 공기나 고기압의 존재는 태풍의 순환을 이끄는 뇌우와 대류의 형성을 방해할 수 있다.
태풍의 강도에 영향을 미칠 수 있는 또 다른 핵심 요소는 태풍의 크기와 구조이다. 어떤 태풍들은 순환이 촘촘하고 잘 조직된 것이 특징인 반면, 다른 태풍들은 더 확산되고 불규칙한 구조를 가질 수 있다. 구조가 더 흐트러진 태풍은 불리한 환경 조건에 부딪히면서 약화되거나 소멸되기 쉽다.
마지막으로, 그 땅의 지형은 또한 태풍의 약화 또는 소멸에 역할을 할 수 있다. 폭풍이 산악 지대를 이동할 때, 그것은 증가된 마찰력과 감소된 대기 수분을 만날 수 있으며, 둘 다 폭풍이 힘을 잃게 할 수 있다.
태풍의 행동을 예측하는 것은 어려울 수 있지만, 기상 모델링과 예측 기술의 발전은 과학자들이 이 강력한 폭풍의 경로와 강도에 대해 점점 더 정확한 예측을 할 수 있게 해주었다. 태풍의 행동에 영향을 미치는 복잡한 요인에 대한 이해를 지속적으로 개선함으로써, 우리는 잠재적으로 위험한 날씨 사건의 영향에 더 잘 대비하고 완화할 수 있다.
'밈 > 뜻' 카테고리의 다른 글
| 다이진 뜻 유래 (0) | 2023.04.25 |
|---|---|
| msds 뜻 예시 그리고 중요성 (0) | 2023.04.24 |
| 그게 뭔데 씹덕아 뜻 ㄱㅁㅆ 짤 (0) | 2023.04.24 |
| 회피형 연애 남자 여자 특징 테스트 (0) | 2023.04.24 |
| 드릉드릉 뜻 슈카 (0) | 2023.04.23 |